Szkolenie z obrazowania multispektralnego

Szkolenie multispektralne

Szkolenie z obrazowania multispektralnego z wykorzystaniem dronów – otwórz nowe możliwości w rolnictwie!

Chcesz zoptymalizować swoje gospodarstwo i podejmować bardziej świadome decyzje dotyczące upraw? Nasze szkolenie z obrazowania multispektralnego z wykorzystaniem dronów wyposaży Cię w niezbędną wiedzę i umiejętności, aby wykorzystać pełny potencjał tej technologii w rolnictwie.

  • Kompleksowe podejście: Nauczysz się zarówno teoretycznych podstaw obrazowania multispektralnego, jak i praktycznych umiejętności obsługi drona wyposażonego w kamerę multispektralną.
  • Doświadczeni instruktorzy: Szkolenie prowadzą doświadczeni agronomi i piloci dronów, którzy podzielą się swoją wiedzą i doświadczeniem.
  • Nowoczesny sprzęt: Będziesz mieć możliwość pracy z najnowocześniejszymi dronami i kamerami multispektralnymi.
  • Praktyczne ćwiczenia: Podczas zajęć przeprowadzisz samodzielne loty dronem, analizę danych i tworzenie map wegetacyjnych.
  • Certyfikat: Po ukończeniu szkolenia otrzymasz certyfikat potwierdzający zdobyte umiejętności
  • Nowe umiejętności: Będziesz mógł samodzielnie przeprowadzać monitoring upraw, analizować stan roślin i tworzyć precyzyjne mapy wegetacyjne.
  • Wczesne wykrywanie problemów: Dzięki obrazowaniu multispektralnemu będziesz mógł wcześnie wykrywać problemy w uprawach, takie jak niedobory składników odżywczych, choroby czy susza.
  • Optymalizacja produkcji: Zastosowanie dronów w rolnictwie pozwoli Ci zoptymalizować nawożenie, opryski i inne zabiegi agrotechniczne, co przełoży się na zwiększenie plonów i zmniejszenie kosztów produkcji.
  • Podejmowanie lepszych decyzji: Będziesz miał dostęp do dokładnych danych na temat stanu swoich upraw, co umożliwi Ci podejmowanie bardziej świadomych decyzji.
  • Podstawy obrazowania multispektralnego
  • Zasada działania kamer multispektralnych
  • Wybór odpowiedniego sprzętu do badań
  • Planowanie lotów i wykonywanie zdjęć multispektralnych
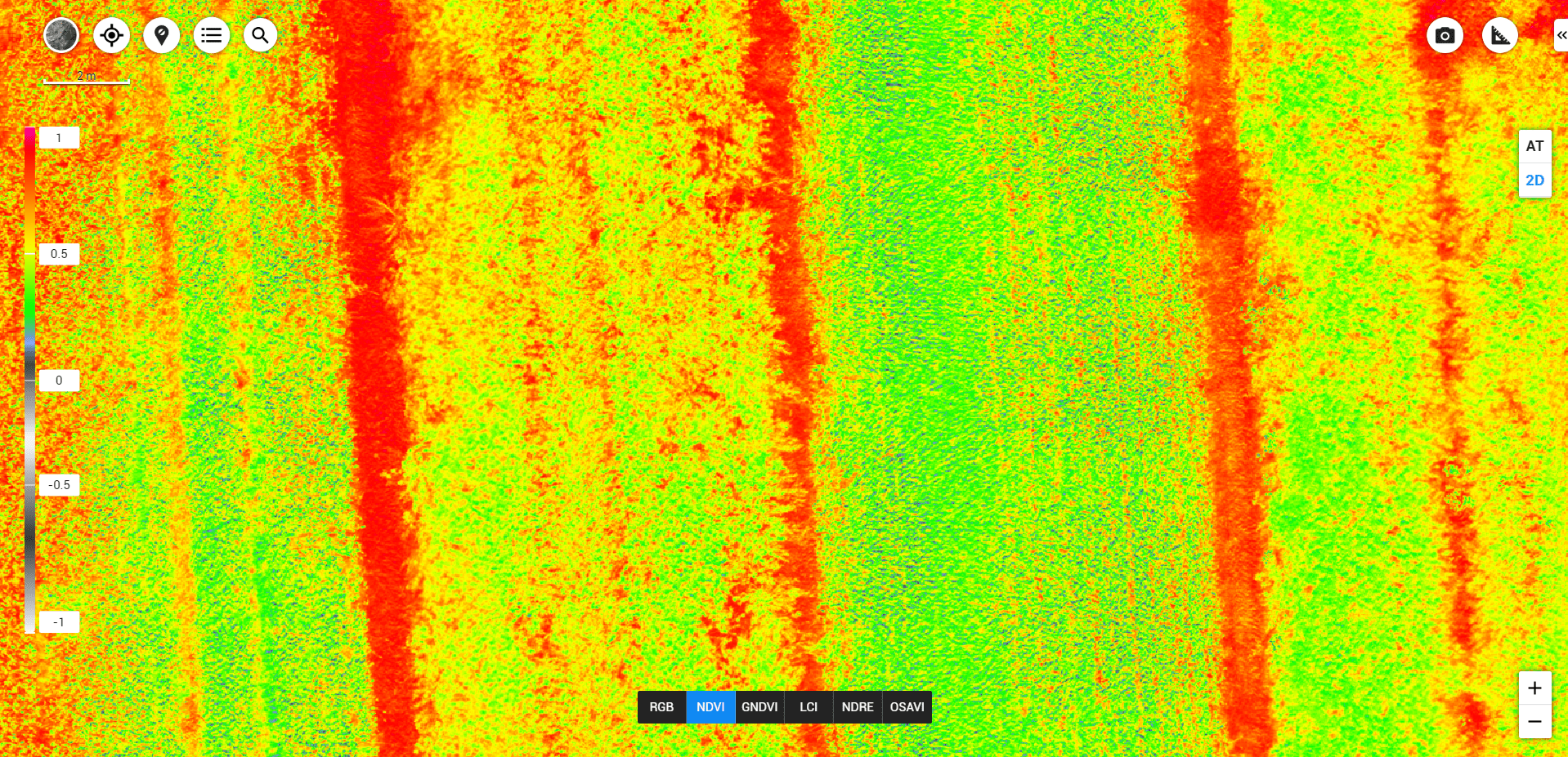
  • Analiza danych i tworzenie map wegetacyjnych
  • Indeksy wegetacyjne (NDVI, NDRE itp.)
  • Zastosowanie obrazowania multispektralnego w różnych uprawach
  • Rolników: Chcących zwiększyć wydajność swoich gospodarstw i zminimalizować koszty produkcji.
  • Doradców rolniczych: Poszukujących nowych narzędzi do wspierania swoich klientów.
  • Przedstawicieli firm nasiennych i środków ochrony roślin: Zainteresowanych nowymi technologiami w rolnictwie.
  •